Beschrijving

Welkom op Zwembadweg 2, bungalow 111. Deze vrijstaande recreatiebungalow is gelegen op een prachtige en rustige locatie in vakantiepark ’t Posterbos met vrij uitzicht op de achtergelegen landerijen en natuur.  De bungalow is voorzien van een fraaie woonkamer met openslaande deuren naar het terras, een moderne keuken en badkamer, 2 slaapkamers en een ruime tuin rondom.  Het centrum van het park met zwembad en restaurant liggen op loopafstand.

Indeling

Begane grond: 
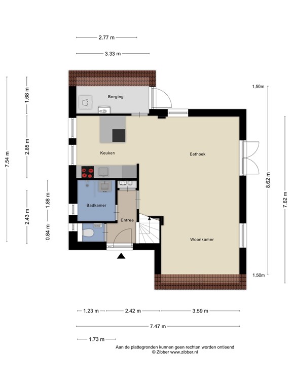
De voordeur geeft toegang tot de hal met meterkast en trap naar de 1e verdieping. Vanuit de hal met laminaatvloer zijn het toilet, de badkamer en de woonkamer bereikbaar. De toiletruimte is voorzien van een wandcloset met fonteintje. De geheel betegelde badkamer is voorzien van een inloopdouche, een wastafel met wandmeubel en een designradiator.
De woonkamer is ruim van opzet, voorzien van een laminaatvloer en openslaande deuren naar het terras. De open keuken is eveneens voorzien van een laminaatvloer en een moderne keukenopstelling met apparatuur (inductiekookplaat, afzuigkap, oven, magnetron, oven, vaatwasser, koelkast, diepvries) en voldoende werk- en kastruimte. In de praktische berging bevinden zich de witgoedaansluitingen, de c.v.-opstelling en een buitendeur.

Eerste verdieping

Eerste verdieping:
Op de eerste verdieping bevinden zich de overloop met handige bergkast en 2 fijne slaapkamers. De overloop en de slaapkamers zijn afgewerkt met een laminaatvloer.

Tuin

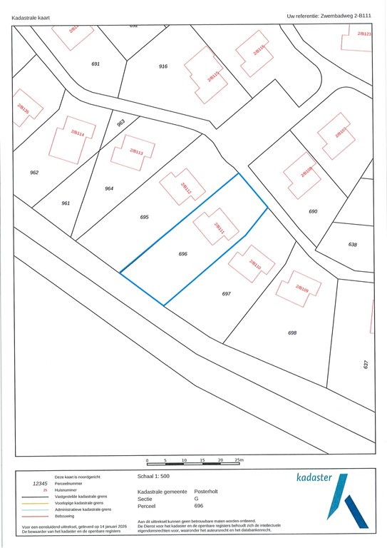
Perceel:
De recreatiebungalow is gelegen op een fijn perceel van ca. 568 m². De oprit biedt parkeergelegenheid op eigen terrein en geeft toegang tot de woning en de achtertuin. De achtertuin biedt veel privacy en een prachtig uitzicht over de achtergelegen landerijen en bos en vanuit de tuin kun je zo het bos in wandelen. De tuin is voorzien van een terras, gazon en beplanting. In deze fijne tuin kun je genieten van het buitenleven en heerlijk ontspannen in de zon.

Bijzonderheden

Algemeen:
De recreatiebungalow is gebouwd omstreeks 1996 en recent zijn de keuken, badkamer en het toilet geheel vernieuwd.
De woning is voorzien van houten kozijnen met isolerende beglazing, dakisolatie, spouwmuurisolatie en een HR-combiketel van 2017. Het woonoppervlak bedraagt ca. 73 m², de inhoud bedraagt ca. 275 m³ en het perceeloppervlak 568 m². 
 
Vakantiepark ’t Posterbos is gelegen aan de rand van Posterholt midden in een bosgebied, nabij Nationaal Park de Meinweg met haar vele wandel- en fietsroutes op circa 10 kilometer van de stad Roermond. De uitgebreide maasplassen nabij Roermond bieden tal van mogelijkheden voor de watersportliefhebber. Het gezellige Roermond biedt tal van winkels en terrasjes in de fraaie historische binnenstad maar ook het Designer Outlet met meer dan 180 winkels en diverse restaurants. Het Bourgondische Maastricht, het Zuid-Limburgse heuvelland, Venlo, Eindhoven en grote Duitse steden als Düsseldorf, Keulen en Aken zijn goed bereikbaar.

Maar ook het park zelf heeft het een en ander aan recreatiemogelijkheden te bieden. Zo is er een verwarmd openluchtzwembad met ligweide, binnenbad, een vijver met zandstrand, fietsverhuur, een groot sportveld, tennisbaan, diverse speeltoestellen, een restaurant, sauna, zonnebanken, bar/bowling en een terras. 

Parkkosten:
Als eigenaar van een recreatiewoning in Posterbos wordt u lid van de Verenging van Eigenaren. De jaarlijkse parkkosten bedragen circa € 2000,-- per jaar. Hierin is o.a. inbegrepen: opstal en inventaris verzekering, waterverbruik, afvalverzorging, kabel-tv, onderhoud van groenvoorzieningen en wegen, gebruik van het zwembad en voorzieningen. De mogelijkheid bestaat om door het park de verhuur van de bungalow te laten verzorgen. voor meer informatie over het recreatiepark zie: www.posterbos.nl.

Kenmerken