slide
DIVA Makelaars Landelijk werkzaam, lokaal gespecialiseerd!
DIVA staat voor ‘Ster’:
wij willen dan ook uitblinken in optimale service en kwaliteit
1.jpg 29.jpg 32.jpg 2.jpg 3.jpg 4.jpg 5.jpg 6.jpg 7.jpg 8.jpg 9.jpg 10.jpg 11.jpg 12.jpg 13.jpg 14.jpg 15.jpg 16.jpg 17.jpg 18.jpg 19.jpg 20.jpg 21.jpg 22.jpg 23.jpg 24.jpg 25.jpg 26.jpg 27.jpg 28.jpg 29.jpg 30.jpg 31.jpg 32.jpg
Verkocht

Verkocht: Burgemeester Geradtsstraat 5, 6061 GM Posterholt

€ 625.000,- k.k.
Type object Woonhuis, eengezinswoning, vrijstaande woning
Perceeloppervlakte 1.590 m²
Woonoppervlakte 197 m²
Aanvaarding In overleg
Status Verkocht

Notitie

Algemeen

Welkom op Burgemeester Geradtsstraat 5, een prachtige levensloopbestendige vrijstaande woning uit 2003. Gelegen in een rustige woonomgeving nabij de dagelijkse voorzieningen en nabij het fraaie buitengebied, is dit de ideale woning voor mensen die op zoek zijn naar comfort, ruimte en gemak in een schitterende omgeving.

Met een slaapkamer en badkamer op de begane grond is de woning levensloop... Meer informatie
  • Kenmerken

    Alle kenmerken
    Type object Woonhuis, eengezinswoning, vrijstaande woning
    Bouwperiode 2003
    Status Verkocht
  • Locatie

Kenmerken

Overdracht
Referentienummer 183
Vraagprijs € 625.000,- k.k.
Status Verkocht
Aanvaarding In overleg
Laatste wijziging Vrijdag 14 november 2025
Bouw
Type object Woonhuis, eengezinswoning, vrijstaande woning
Soort bouw Bestaande bouw
Bouwperiode 2003
Dakbedekking Dakpannen
Type dak Zadeldak
Isolatievormen Dakisolatie, Dubbel glas, HR-glas, Muurisolatie, Spouwmuren, Vloerisolatie, Volledig geïsoleerd
Oppervlaktes en inhoud
Perceeloppervlakte 1.590 m²
Woonoppervlakte 197 m²
Woonkameroppervlakte 40 m²
Keukenoppervlakte 13 m²
Inhoud 987 m³
Oppervlakte overige inpandige ruimten 88 m²
Oppervlakte gebouwgebonden buitenruimte 10 m²
Indeling
Aantal bouwlagen 3 (en 1 kelder)
Aantal kamers 5 (waarvan 4 slaapkamers)
Aantal badkamers 1 (en 1 apart toilet)
Locatie
Ligging Aan rustige weg
Tuin
Type Voortuin
Oriëntering Zuid-west
Staat Goed onderhouden
Tuin 2 - Type Achtertuin
Tuin 2 - Hoofdtuin Ja
Tuin 2 - Oriëntering Zuid-west
Tuin 2 - Heeft een achterom Ja
Tuin 2 - Staat Normaal
Energieverbruik
Energielabel A
CV ketel
CV ketel Nefit Trendline
Warmtebron Gas
Bouwjaar 2020
Combiketel Ja
Eigendom Eigendom
Uitrusting
Aantal parkeerplaatsen 4
Warm water CV-ketel
Verwarmingssysteem Centrale verwarming, Vloerverwarming (gedeeltelijk)
Ventilatie methode Mechanische ventilatie
Badkamervoorzieningen Douche, Ligbad, Wastafel, Wastafelmeubel
Parkeergelegenheid Aangebouwde stenen garage
Tuin aanwezig Ja
Heeft een garage Ja
Heeft rolluiken Ja
Heeft een dakraam Ja
Heeft een schuifpui Ja
Heeft ventilatie Ja
Kadastrale gegevens
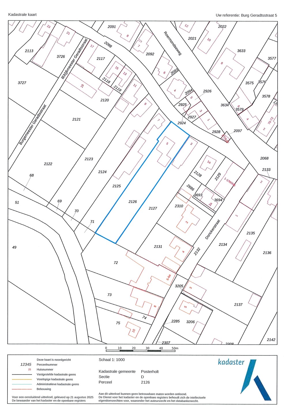
Kadastrale aanduiding Posterholt D 2126
Perceeloppervlakte 1.590 m²
Omvang Geheel perceel
Eigendomsituatie Eigen grond

Beschrijving

Welkom op Burgemeester Geradtsstraat 5, een prachtige levensloopbestendige vrijstaande woning uit 2003. Gelegen in een rustige woonomgeving nabij de dagelijkse voorzieningen en nabij het fraaie buitengebied, is dit de ideale woning voor mensen die op zoek zijn naar comfort, ruimte en gemak in een schitterende omgeving.

Met een slaapkamer en badkamer op de begane grond is de woning levensloopbestendig te gebruiken maar daarmee is dit huis ook perfect voor gezinnen met opgroeiende kinderen en doorstromers die op zoek zijn naar ruimte, comfort en gemak. De fraaie woonkamer, de aparte keuken en de 3 grote slaapkamers op de verdieping bieden genoeg ruimte voor iedereen.

Met een woonoppervlakte van 197 m² biedt deze woning voldoende ruimte voor het hele gezin. Het perceel heeft een oppervlakte van maar liefst 1590 m², waarvan het grootste gedeelte bestemd is als achtertuin. Hier kun je volop genieten van het buitenleven en heerlijk ontspannen in de zon. Dankzij de inpandige garage en de grote oprit is er genoeg parkeerplek en bergruimte.

Duurzaamheid is ook een belangrijk aspect van deze woning. De woning is volledig geïsoleerd en heeft energielabel A dat ervoor zorgt dat je energieverbruik beperkt blijft.

Klaar om jouw nieuwe droomhuis te vinden? Deze prachtige woning in Posterholt wacht op jou! Maak snel een afspraak voor een bezichtiging en wie weet wordt dit binnenkort wel jouw nieuwe thuis.

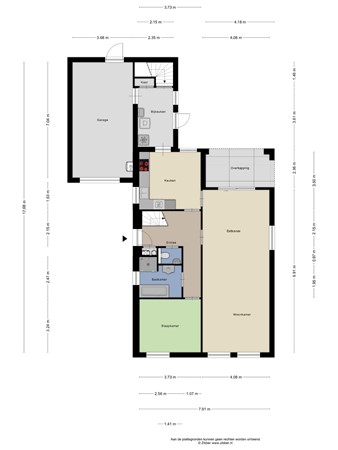
Indeling

Begane grond:
De entree geeft toegang tot de voordeur en de hal. Vanuit de hal met meterkast en trap naar de 1e verdieping zijn de toiletruimte, de woonkamer, keuken, slaapkamer en badkamer bereikbaar.
De fraaie woonkamer is ruim van opzet (ca. 40 m²) en heeft veel lichtinval door de grote raampartij aan de voorzijde, een raam in de zijgevel en de schuifpui aan de achterzijde naar het overdekt terras. De keuken (ca. 13 m²) beschikt eveneens over veel lichtinval door de aanwezige ramen met zicht op de oprit en de achtertuin. De keuken beschikt over een keurige keukenopstelling met apparatuur (keramische kookplaat, afzuigkap, combimagnetron, koelkast) en voldoende werk- en kastruimte. In de praktische bijkeuken bevinden zich de witgoedaansluitingen en een handige bergkast. De slaapkamer (ca. 12 m²) is gelegen aan de voorzijde van de woning. De badkamer is voorzien van een ligbad, aparte douche en een vaste wastafel met wandmeubel. Het gehele woongedeelte op de begane grond is voorzien van een doorlopende tegelvloer met vloerverwarming.
De grote inpandige garage (ca. 26 m²) is voorzien van een sectionaalpoort, een loopdeur naar de tuin, c.v.-opstelling, verwarming en beschikt over een handige bergzolder.

Eerste verdieping

1e verdieping:
Op de eerste verdieping bevinden zich een grote overloop met knusse zithoek, 3 slaapkamers en de mogelijkheid tot het realiseren van een tweede badkamer. De overloop en slaapkamers zijn afgewerkt met een doorlopende vloer en de slaapkamers zijn respectievelijk circa 27, 25 en 12 m² groot. De slaapkamer aan de voorzijde beschikt over een ruime inloopkast. Op de verdieping is ruimte gecreëerd om een tweede badkamer te realiseren. Het leidingwerk voor deze badkamer is reeds aanwezig.

Tweede verdieping

2e verdieping:
Middels een vlizotrap is de zolder (ca. 32 m²) bereikbaar.

Overige verdiepingen

Kelder:
Provisiekelder (ca. 10 m²).

Tuin

Tuin:
De op het zuidwesten georiënteerde achtertuin is ruim 65 meter diep en is een fijne plek voor mensen die op zoek zijn naar ruimte en rust. De tuin is voorzien van een groot terras en gazon. De tuin is achterom bereikbaar middels een pad links en rechts van de woning.

Bijzonderheden

Algemeen:
Deze levensloop bestendige vrijstaande woning verkeert in een prima staat van onderhoud en is gelegen in een fijne woonomgeving nabij de voorzieningen. De woning is gebouwd in 2003 en is volledig geïsoleerd, voorzien van kunststof kozijnen met HR++ beglazing, rolluiken, een HR combiketel en heeft een energielabel A. Het woonoppervlak bedraagt ca. 197 m², de overige inpandige ruimte ca. 88 m², de gebouw gebonden buitenruimte ca. 10 m², de inhoud ca. 987 m³ en het perceeloppervlak bedraagt 1590 m².

Omgeving:
Posterholt maakt met haar buurtschappen de Borg, de Holst en de Varst deel uit van de gemeente Roerdalen en heeft circa 4000 inwoners. Het dorp is gelegen in een landelijke en groene woonomgeving. Posterholt beschikt over meer dan voldoende voorzieningen zoals een basisschool met kinderopvang, een supermarkt, een bakker, een drogist en diverse andere winkels, een huisartsenpraktijk, een tandartspraktijk, apotheek, diverse horeca gelegenheden en tal van sport- en recreatievoorzieningen en verenigingen. Posterholt heeft goede aansluitingen op de diverse provinciale wegen richting Noord- en Zuid-Limburg alsook naar Duitsland.

Plattegronden

Brochure(s) en overige bijlagen

Sluiten

Recent bekeken