slide
DIVA Makelaars Landelijk werkzaam, lokaal gespecialiseerd!
DIVA staat voor ‘Ster’:
wij willen dan ook uitblinken in optimale service en kwaliteit
1.jpg 2.jpg 3.jpg 4.jpg 5.jpg 6.jpg 7.jpg 8.jpg 9.jpg 10.jpg 11.jpg 12.jpg 13.jpg 14.jpg 15.jpg 16.jpg 17.jpg 18.jpg 19.jpg 20.jpg 21.jpg 22.jpg 23.jpg 24.jpg 25.jpg 26.jpg 27.jpg 28.jpg
Verkocht

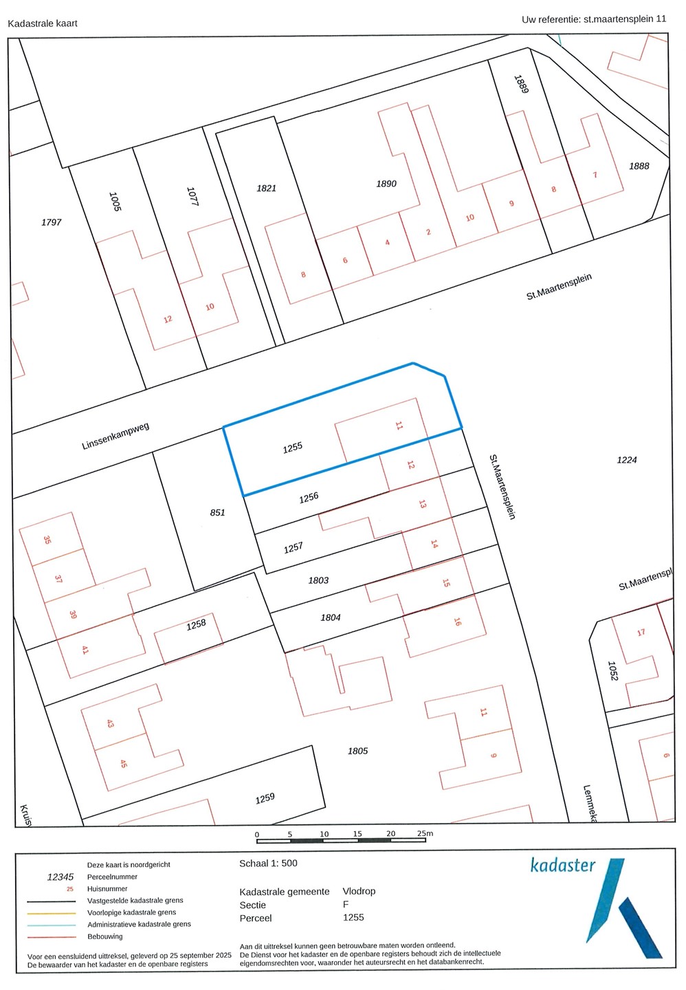
Verkocht: St.Maartensplein 11, 6063 CA Vlodrop

€ 285.000,- k.k.
Type object Woonhuis, eengezinswoning, hoekwoning
Perceeloppervlakte 360 m²
Woonoppervlakte 110 m²
Aanvaarding In overleg
Status Verkocht

Notitie

Algemeen

Deze fijne hoekwoning met aanbouw, kelder, grote garage en tuin is gelegen in een rustige woonomgeving nabij een groenvoorziening met speelveldje en de dagelijkse voorzieningen.
Met een woonoppervlak van 110 m² biedt deze woning voldoende ruimte voor iedereen met op de begane grond een L-vormige woonkamer, een aparte keuken en een serre. Op de verdieping bevinden zich 3 slaapkamers en de badka... Meer informatie
  • Kenmerken

    Alle kenmerken
    Type object Woonhuis, eengezinswoning, hoekwoning
    Bouwperiode 1963
    Status Verkocht
  • Locatie

Kenmerken

Overdracht
Referentienummer 188
Vraagprijs € 285.000,- k.k.
Status Verkocht
Aanvaarding In overleg
Laatste wijziging Dinsdag 16 december 2025
Bouw
Type object Woonhuis, eengezinswoning, hoekwoning
Soort bouw Bestaande bouw
Bouwperiode 1963
Dakbedekking Bitumen, Dakpannen
Type dak Zadeldak
Isolatievormen Grotendeels dubbel glas
Oppervlaktes en inhoud
Perceeloppervlakte 360 m²
Woonoppervlakte 110 m²
Woonkameroppervlakte 32 m²
Keukenoppervlakte 13 m²
Inhoud 466 m³
Oppervlakte overige inpandige ruimten 21 m²
Oppervlakte externe bergruimte 32 m²
Indeling
Aantal bouwlagen 3 (en 1 kelder)
Aantal kamers 4 (waarvan 3 slaapkamers)
Aantal badkamers 1 (en 1 apart toilet)
Locatie
Ligging Aan rustige weg, In woonwijk
Tuin
Type Achtertuin
Hoofdtuin Ja
Oriëntering West
Heeft een achterom Ja
Staat Normaal
Tuin 2 - Type Zijtuin
Tuin 2 - Oriëntering West
Tuin 2 - Staat Goed onderhouden
Energieverbruik
Energielabel C
CV ketel
CV ketel Nefit
Warmtebron Gas
Bouwjaar 2016
Combiketel Ja
Eigendom Eigendom
Uitrusting
Warm water CV-ketel, Elektrische boiler
Verwarmingssysteem Centrale verwarming
Keukenvoorzieningen Inbouwapparatuur
Badkamervoorzieningen Ligbad, Toilet, Wastafel
Parkeergelegenheid Vrijstaande stenen garage
Heeft een rookkanaal Ja
Tuin aanwezig Ja
Heeft een garage Ja
Heeft rolluiken Ja
Kadastrale gegevens
Kadastrale aanduiding Vlodrop F 1255
Perceeloppervlakte 360 m²
Omvang Geheel perceel
Eigendomsituatie Eigen grond

Beschrijving

Deze fijne hoekwoning met aanbouw, kelder, grote garage en tuin is gelegen in een rustige woonomgeving nabij een groenvoorziening met speelveldje en de dagelijkse voorzieningen.
Met een woonoppervlak van 110 m² biedt deze woning voldoende ruimte voor iedereen met op de begane grond een L-vormige woonkamer, een aparte keuken en een serre. Op de verdieping bevinden zich 3 slaapkamers en de badkamer. De zolder en de kelder zorgen voor extra bergruimte.

De garage van circa 32 m² biedt genoeg plek voor stalling en opslag van spullen maar is ook zeer geschikt voor de uitoefening van een hobby. Het perceel heeft een oppervlakte van 360 m², waarvan een groot gedeelte bestemd is als tuin. Hier kun je genieten van het buitenleven en heerlijk ontspannen in de zon.

Indeling

Begane grond:
De entree geeft toegang tot de voordeur en de hal. Vanuit de hal met tegelvloer, meterkast, en trap naar de 1e verdieping zijn het toilet en de woonkamer bereikbaar. De L-vormige woonkamer is ruim van opzet (ca. 32 m²), heeft veel lichtinval en is voorzien van een planken vloer en een haardpartij.
De keuken (ca. 13 m²) is voorzien is van een tegelvloer en een keukenopstelling met apparatuur (elektrische kookplaat, afzuigkap, oven, vaatwasser en koelkast) en beschikt over voldoende werk- en kastruimte. Vanuit de keuken is er toegang tot de serre (ca. 11 m²). De serre is voorzien van een inbouwkast en een loopdeur naar de tuin.

Eerste verdieping

1e verdieping:
Op de verdieping bevinden zich de overloop, 3 slaapkamers en de badkamer. De slaapkamers zijn respectievelijk ca. 13, 11 en 5 m² groot en de twee grootste slaapkamers zijn beide voorzien van een muurkast. De badkamer is voorzien van een ligbad/-douchecombinatie, een toilet en een wastafel.

Tweede verdieping

2e verdieping:
Middels een vlizotrap is de zolder met c.v.-opstelling bereikbaar.

Overige verdiepingen

Kelder:
Praktische provisiekelder (ca. 7,5 m²)

Tuin

Perceel:
De woning is gelegen op een fijn hoekperceel. De tuin heeft een prima bezonning en is voorzien van bestrating en gazon. Achter op het perceel is de grote garage van ca. 32 m² gelegen. De garage is voorzien van elektra, water en gasaansluitingen en een elektrisch bedienbare sectionaalpoort.

Bijzonderheden

Algemeen:
Deze fijne hoekwoning is oorspronkelijk gebouwd in 1963 en is in de loop der jaren uitgebouwd. De woning is gelegen in een rustige en kindvriendelijke woonomgeving nabij een groenvoorziening met speelveldje en nabij de dagelijkse voorzieningen. De woning is grotendeels voorzien van kunststof kozijnen met isolerende beglazing, rolluiken, een HR combiketel (2016) en heeft energielabel C.
Het woonoppervlak bedraagt ca. 110 m², overige inpandige ruimte ca. 21 m², externe bergruimte ca. 32 m², de inhoud bedraagt ca. 466 m³ en het perceeloppervlak 360 m².

Omgeving:
Vlodrop maakt met haar buurtschappen Etsberg, Rothenbach en Vlodrop Station deel uit van de gemeente Roerdalen en heeft ruim 2300 inwoners. Het dorp is gelegen in een landelijke en groene woonomgeving langs rivier de Roer en Nationaal Park de Meinweg met haar vele wandel- en fietsroutes. Vlodrop beschikt over voldoende voorzieningen zoals een basisschool, kinderopvang, supermarkten, diverse winkels, tuincentra, een huisartsenpraktijk, een tandartspraktijk, restaurants, cafés, een dorpshuis, een sporthal, een buitenzwembad en diverse (sport)verenigingen. Vlodrop ligt op circa 10 kilometer van de stad Roermond met zijn uitgebreide maasplassen, tal van winkels en terrasjes in de fraaie historische binnenstad en het Designer Outlet Center met meer dan 180 winkels en diverse restaurants. Het Bourgondische Maastricht en het Zuid-Limburgse heuvelland maar ook Venlo, Eindhoven en grote Duitse steden als Düsseldorf, Keulen en Aken zijn eveneens goed bereikbaar.

Plattegronden

Brochure(s) en overige bijlagen

Sluiten

Recent bekeken