slide
Outstanding Agents. Outstanding Results. DIVA staat voor ‘Ster’: wij willen dan ook uitblinken in optimale service en kwaliteit

For sale: Dorperheideweg 34-2135, 5944 NK Arcen

€325,000
Type of residence House, single-family house, detached house
Plot size 300 m²
Liveable area 53 m²
Acceptance By consultation

Note

General

Te koop – Vrijstaande woning op eigen grond

Residence Arcen Spa (Camper Village)

Unieke woonoplossing met 120-dagenregeling

Op het bijzondere Residence Arcen Spa (Camper Village) bieden de eerste eigenaren deze moderne, vrijstaande en onderhoudsarme woning aan. De woning staat op 300 m² eigen grond – een zeldzaamheid in Nederland, aangezien hier niet alleen de woning maar ook de grond... More info
  • Features

    All characteristics
    Type of residence House, single-family house, detached house
    Construction period 2020
  • Location

Features

Offer
Reference number 83
Asking price €325,000
Acceptance By consultation
Last updated 04 February 2026
Construction
Type of residence House, single-family house, detached house
Type of construction Existing estate
Construction period 2020
Roof materials Tiles
Rooftype Front gable
Isolations Floor, Full, HR glazing, Roof, Wall
Surfaces and content
Plot size 300 m²
Floor Surface 53 m²
Living area 18.27 m²
Kitchen area 7.03 m²
Content 133 m³
Surface area other inner rooms 6 m²
Layout
Number of floors 1
Number of rooms 3 (of which 2 bedrooms)
Number of bathrooms 1
Garden
Type Garden around
Main garden Yes
Orientation South west
Condition Beautifully landscaped
Energy consumption
Energy certificate A
Boiler
Type of boiler Intergas Kombicompact HR 22
Year of manufacture 2020
Combiboiler Yes
Boiler ownership Owned
Features
Number of parking spaces 2
Water heating Central heating system
Heating Air conditioning, Central heating
Bathroom facilities Shower, Sink, Toilet, Washbasin furniture
Has AC Yes
Garden available Yes
Has an internet connection Yes
Cadastral informations
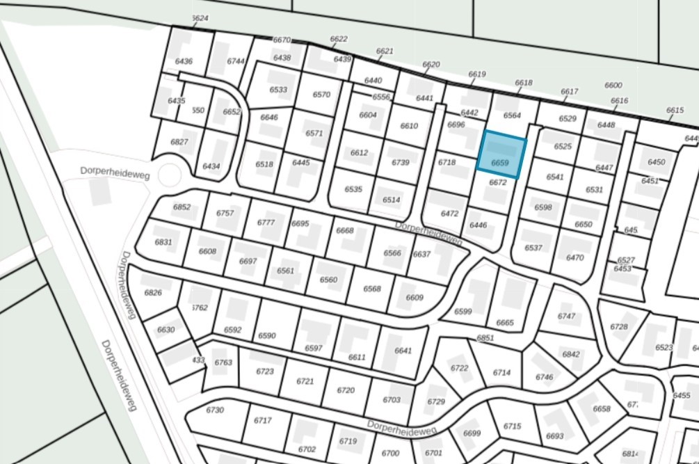
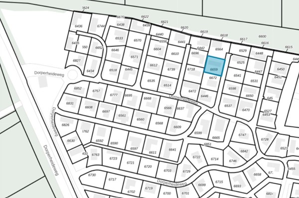
Cadastral designation Arcen en Velden A 6659
Area 300 m²
Range Entire lot
Ownership Use and occupancy

Description

Te koop – Vrijstaande woning op eigen grond

Residence Arcen Spa (Camper Village)

Unieke woonoplossing met 120-dagenregeling

Op het bijzondere Residence Arcen Spa (Camper Village) bieden de eerste eigenaren deze moderne, vrijstaande en onderhoudsarme woning aan. De woning staat op 300 m² eigen grond – een zeldzaamheid in Nederland, aangezien hier niet alleen de woning maar ook de grond volledig wordt gekocht.

Dankzij de flexibele 120-dagen woonregeling (niet aaneengesloten) en de mogelijkheid tot inschrijving bij de gemeente Venlo, is dit een ideale woning voor camperaars, reizigers of mensen die een vaste, comfortabele uitvalsbasis zoeken.
________________________________________
Kenmerken in het kort

• Vrijstaande woning (bouwjaar 2020)

• 300 m² eigen grond (geen erfpacht of huur)

• 120-dagenregeling (niet aaneengesloten)

• Mogelijkheid tot gemeentelijke inschrijving

• Volledig instapklaar

• Ruime parkeergelegenheid op eigen terrein

• Gratis toegang tot Thermaalbad Arcen & sauna
________________________________________

Indeling van de woning

Entree & hal

• Lichte hal met neutrale afwerking

• Vinyl vloer (door vrijwel de hele woning)

• Toilet gesitueerd in de badkamer

Woonkamer

• Ruime en lichte living

• Grote raampartijen voor optimale lichtinval

• Directe toegang tot terras en overkapping

• Prettig binnen-buiten gevoel

Keuken

Moderne en complete keuken voorzien van:

• Inductiekookplaat

• Afzuigkap

• Vaatwasser

• Combi-magnetron

• Losse koelkast en vriezer

Slaapkamers (2)

• Twee volwaardige slaapkamers

• Eén slaapkamer met inbouwkast en tv-aansluiting
Badkamer

• Inloopdouche

• Wastafelmeubel

• Designradiator

Berging

• Aansluiting voor wasmachine en droger

• Geïsoleerd

• Ruimte voor fietsen, opslag en proviand

• Werkbank voor kluswerkzaamheden
________________________________________

Buitenleven

Tuin

• Fraai aangelegde tuin met veel beplanting

• Waterput met buizensysteem voor het besproeien van de planten

• Regenopvang aanwezig

• Overkapping waar u heerlijk kunt vertoeven

Perceel

• Ruime oprit met plaats voor camper, caravan én auto

• Onderhoudsvriendelijk

• Gelegen aan een doodlopende weg, dicht tegen het bos aan.

• Vrij uitzicht en weinig verkeer

• Geen hinder van nabij geparkeerde campers of voertuigen
________________________________________

Duurzaamheid & techniek

• HR++ beglazing

• Airconditioning

• Rolluiken in de woonkamer

• HR-ketel (Intergas, 2020)

• Woning staat van de grond af → minder kans op vochtproblemen

• Onder de woning bereikbaar

• Cahlet Staat op blokken en de wielenhangen er onder en is in theorie verplaatsbaar
________________________________________

Het park – Residence Arcen Spa (Camper Village)

Een uniek park in Nederland, speciaal ontwikkeld voor mensen die veel reizen maar toch een vaste woonplek wensen.
Voorzieningen

• Gratis toegang tot Thermaalbad Arcen & saunacomplex

• Meer van ca. 1 hectare op het park

• Direct gelegen aan natuurgebied De Maasduinen

• Vakantiepark Klein Vink op 15 minuten lopen

(zwembad, horeca en sportfaciliteiten)

Jaarlijkse bijdrage

€ 1.213,09 per jaar (incl. btw), voor o.a.:

• Onderhoud infrastructuur

• Afvalstoffen- en rioolheffing

• TV- en internetkabel

• Water en stroom via Roompot Service B.V.
________________________________________

Locatie & omgeving

Gelegen aan de rand van Arcen, nabij de Duitse grens.

In de directe omgeving:

• Thermaalbad Arcen

• Kasteeltuinen van Arcen

• Nationaal Park De Maasduinen

• Hertog Jan Brouwerij

• Gezellig centrum met terrassen

• Voordelig tanken in Duitsland

Bereikbaarheid

• Venlo centrum: ca. 20 minuten

• Vliegveld Weeze: ca. 20 minuten

• Düsseldorf Airport: ca. 50 minuten
________________________________________

Samengevat

Een unieke kans voor wie comfortabel wil wonen, met flexibiliteit en vrijheid, op een park waar natuur, rust en luxe samenkomen.

ZonZone

Close

Recently viewed